コンテンツへスキップ
ナビゲーションに移動
御五神・竹ヶ島 うえむら渡船 宇和姫
ホーム
電話番号
地図
料金
施設、船写真
ウニ購入の方。
お知らせ
出港カレンダー
最新釣果
HOME
最新釣果
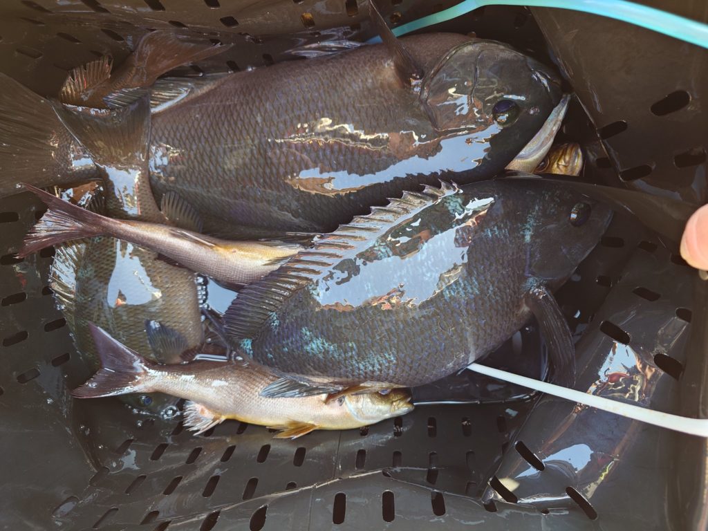
本日の釣果です🐟️日曜日は春一番の可能性が……?予約されてる方は連絡お願いします。
2026年2月20日
/ 最終更新日時 :
2026年2月20日
uemuratosen
最新釣果
本日の釣果です🐟️日曜日は春一番の可能性が……?予約されてる方は連絡お願いします。
最新釣果
前の記事
本日の釣果です🐟️日、月曜と天候が思わしくありません。予約されてる方は確認お願いします。土曜日はキャンセルのため空きが出来てます✋
2026年2月19日
最新釣果
次の記事
本日の釣果です🐟️明日から予報がよろしく無いですね😥火曜日は出船出来ると思います🙇
2026年2月21日
MENU
ホーム
電話番号
地図
料金
施設、船写真
ウニ購入の方。
お知らせ
出港カレンダー